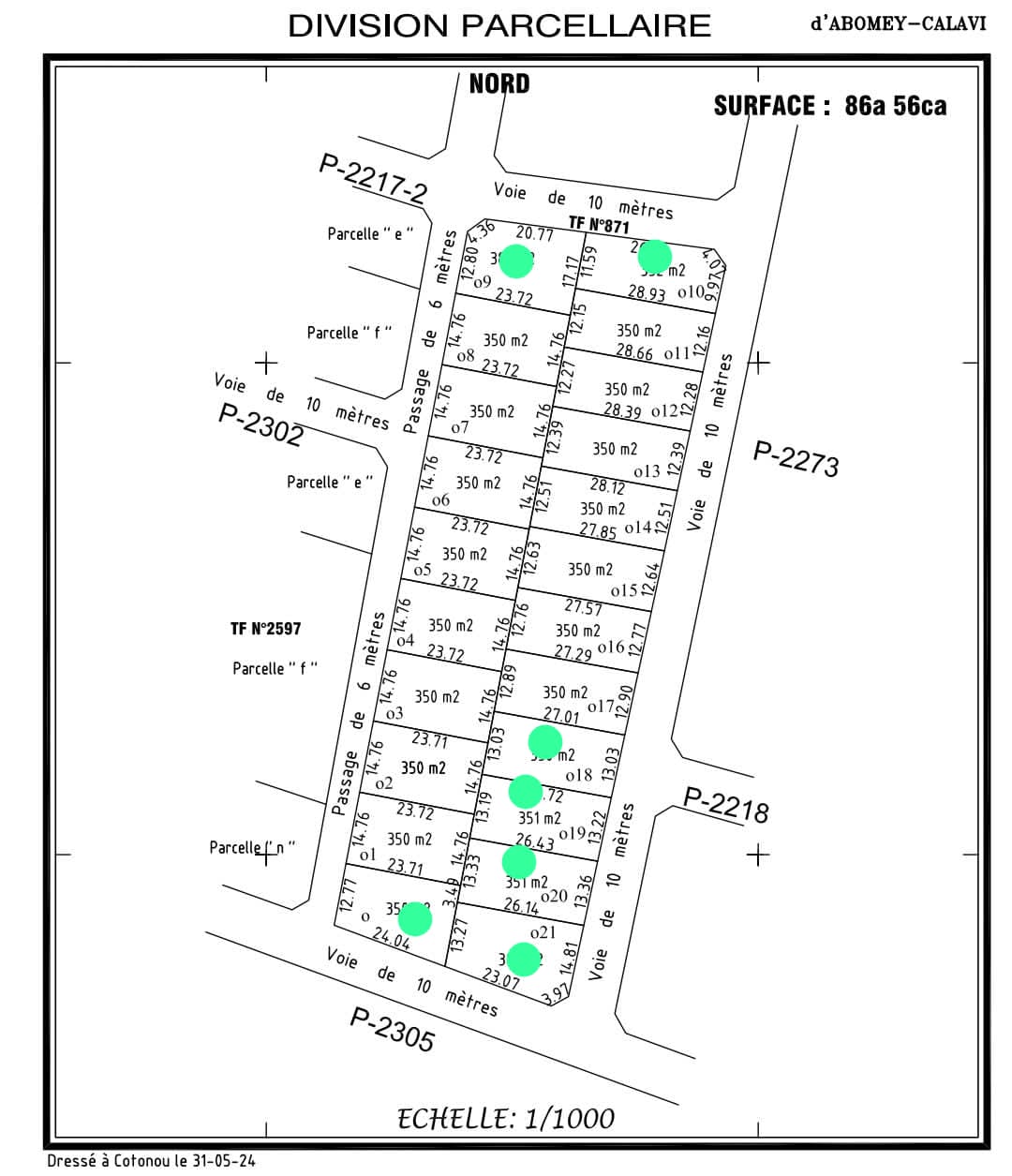
Des parcelles avec le Titre foncier global à vendre à Calavi Houèto mars 2, 2026 with no comment Parcelle à vendre A Vendre à Calavi Houèto des parcelles issues d’un domaine Titre foncier, zone très accessible, électricité et soneb deja disponibleSuperficie : 350m²/ parcellePrix: 12.000.000/ parcelleDocuments : TF global+229 01 96351757